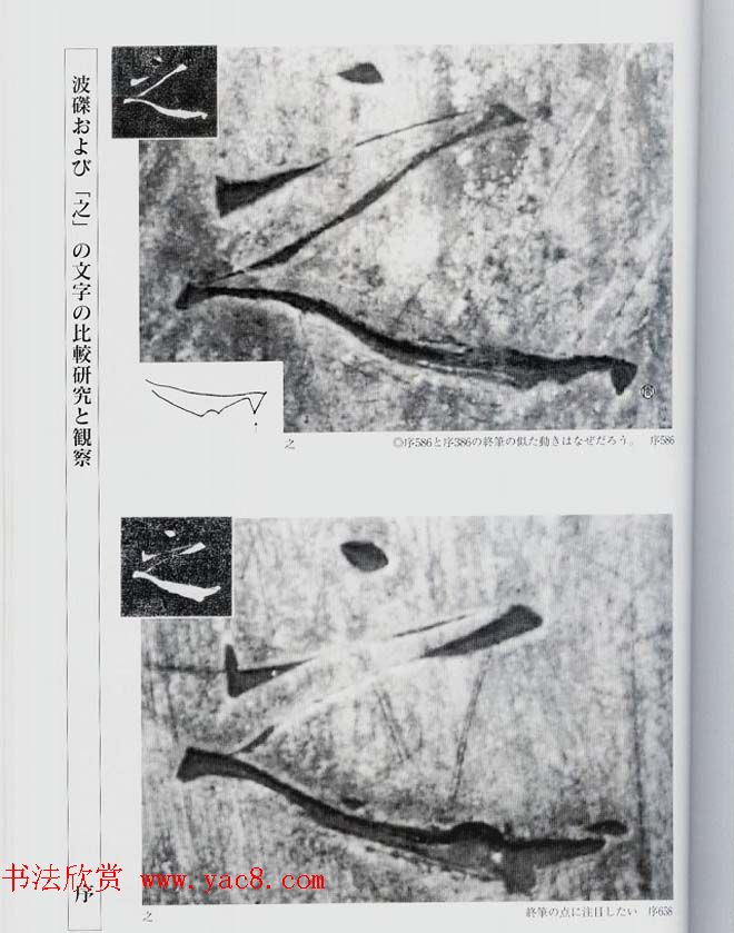
荒金大琳编著《褚遂良雁塔圣教序扩大观察记录》(20) 2015/6/23 作者:书法欣赏 来源:www.yac8.com 阅读:194793 上一页跳页下一页该文章所属专题:褚遂良书法 上一条 颜体楷书练字临习秘籍《唐颜真卿自书告身帖》 下一条 毛笔楷书字帖欣赏《陆润庠西湖记》